Huis
Op aanvraag (In optie)

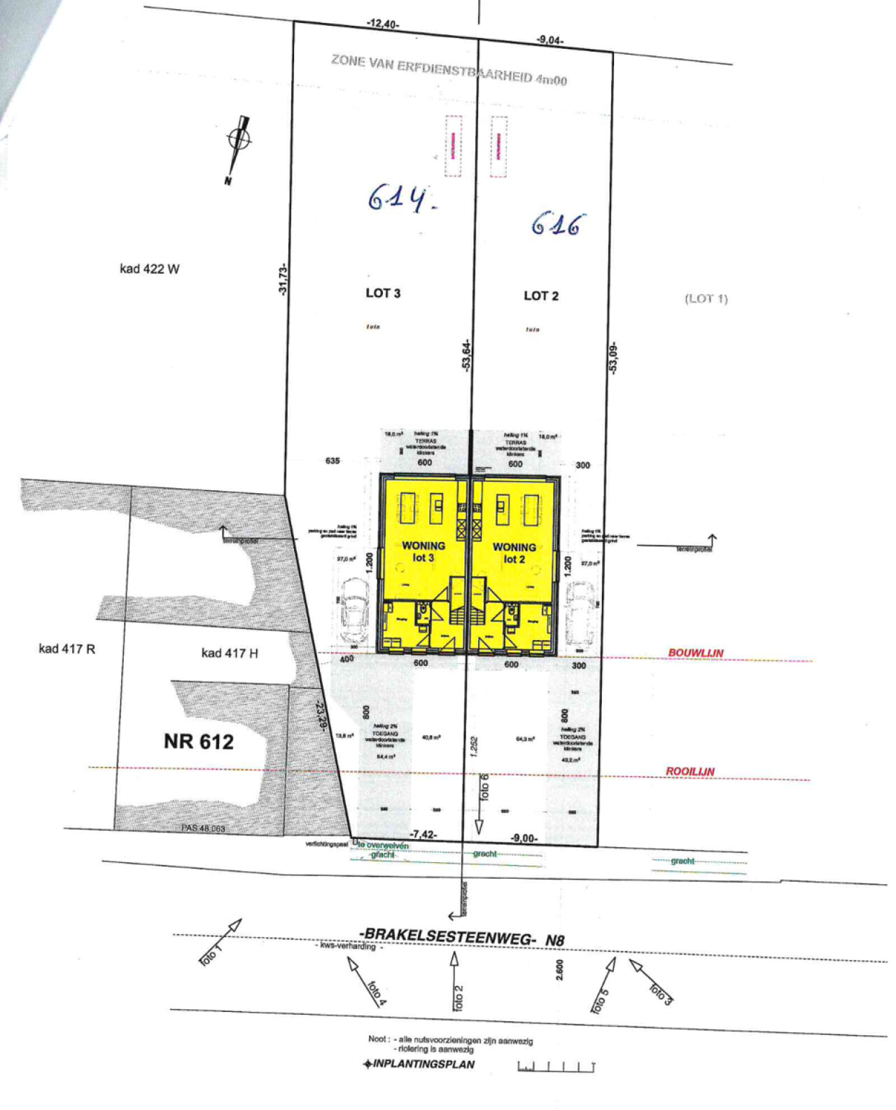
Brakelsesteenweg 616, 9400 Ninove
    • delen

Omschrijving Ref.: 7312235

Nieuwbouwwoning met landelijke stijl te koop te Voorde


NOG 1 BESCHIKBAAR!
Deze mooie halfopen bebouwing is gelegen langs de Brakelsesteenweg te Voorde, wat de voordelen biedt van een goede bereikbaarheid.
Aan de zuid-gerichte achterkant strekken de velden zich uit, waardoor je kan genieten van alle rust en sereniteit. Dit is de perfecte kans om te wonen in je droomhuis op een zeer goede locatie, die rust en natuur combineert met moderne toegankelijkheid.
Verder worden deze gebouwd volgens de hoogste energienormen, met onder andere een warmtepomp lucht/water en vloerverwarming, waardoor optimaal wooncomfort gegarandeerd is.

Indeling:
Gelijkvloers: inkomhal, gastentoilet, een lichtrijke leefruimte met open keuken en een aparte bergruimte. Bovendien is een carport voorzien (niet inbegrepen in de prijs).
Verdieping 1: drie ruime slaapkamers, afzonderlijk toilet en een volledig uitgeruste badkamer met dubbel lavabomeubel, ligbad en douche.
Verdieping 2: kan ingericht worden naar kamers volgens eigen believen. Er is optie tot een vaste trap naar de 2de verdieping.

Verder geniet je van:


Ruime percelen
Vloerverwarming met zonnepanelen
Warmtepomp lucht/water
Afwerking op maat – kies zelf je vloeren, laminaat, keuken en badkamertoestellen.
Gepsplitste aankoop: 12% registratie op grondaandeel (124 000€) en 21% op constructie (240 000€)

Voor meer info: Kristien 0475 496218


Uw contact

Vragen over deze eigendom ref: 7312235
contact

Details van het pand

Financieel

Prijs
Info op kantoor
Onder BTW stelsel
Ja
Beschikbaarheid
Bij oplevering
Beschikbaarheid datum
01 Mei 2026

Ligging

Buurt
Zonnekant
School nabij
2.000m
Winkels nabij
3.000m
Openbaar vervoer nabij
650m
Autosnelweg nabij
10.000m

Gebouw

Bewoonbare oppervlakte
144,00 m²
Aantal gevels
3
Bouwjaar
2025
Staat
Nieuw
Oppervlakte hoofdgebouw
170 m²
Gevelbreedte
6,00 m
Type dak
Zadeldak
Oriëntatie achtergevel
Zuid
Oriëntatie voorgevel
Noord

Terrein

Grondoppervlakte
480,00 m²
Breedte aan straatkant
9,00 m
Tuin
Ja (315,00 m²)
Oriëntatie terras 1
Zuid

Parkeermogelijkheden

Garage
Ja
Carport
Ja
Parkings buiten
2
Parkings binnen
0

Indeling

Woonkamer
32,50 m²
Keuken
5,20 m², volledig geïnstalleerd
Slaapkamer 1
15,20 m²
Slaapkamer 2
12,90 m²
Slaapkamer 3
11,70 m²
Badkamer type
Douche en ligbad
Toiletten
2
Terras
18,00 m²
Wasplaats
Ja
Geventileerde ruimte
Ja
Zolder
Ja

Comfort

Gemeubeld
Nee
Handicapvriendelijk
Nee

Energie

Dubbele beglazing
Ja, thermische en akoestische onderbreking
Ramen
Pvc
Elektriciteitskeuring
Ja, conform
Datum keuring
Bij oplevering
Type verwarming
Warmtepomp
Regenwaterput
Ja

Technieken

Elektriciteit
Ja
Kabeltelevisie
Ja
Riolering
Ja
Water
Ja

Stedenbouw

Bestemming
Woongebied met landelijk karakter
Bouwvergunning
Ja
Verkavelingsvergunning
Ja
Voorkooprecht
Nee
Dagvaarding
Nee
O-peil
Niet gelegen in een overstromingsgevoelig gebied
G-score
A
P-score
A
Watergevoelig openruimtegebied
Nee
Vonnissen
Nee
Kadaster sectie
A
Kadaster nummer
0422 V
Servitude
Ja

Meer info over deze eigendom

Bedankt voor je bericht, we contacteren je zo spoedig mogelijk.
Er was een probleem bij het versturen van het formulier, gelieve opnieuw te proberen.
U moet de algemene voorwaarden aanvaarden om dit bericht te kunnen verzenden
(*) Gelieve de verplichte velden in te vullen.